USDA’s Bird Flu Test Matches Bird and Cow DNA, Not Just Viral DNA: BLAST Data
Are we spiraling toward a false pandemic because PCR tests are detecting host DNA instead of virus?
The genetic sequence of the forward primer in the PCR test used by the government to detect bird flu matches sequences in cow and bird genomes, raising questions about how many reported “positives” reflect true viral detection or nonspecific amplification of host DNA.
The revelation comes after the U.S. Department of Agriculture (USDA) recently gave bird flu permanent emergency status.
Dairy cattle and poultry remain the primary animals at the center of the ongoing H5N1 avian influenza (HPAI) situation.
Positive PCR test results are used to justify how many bird flu cases are reported, which in turn drives public health responses, trade restrictions, and emergency policy decisions—like declaring pandemics.
But if the PCR test is detecting bird and cow host DNA, not just viral genetics, how many reported bird flu cases are actually false positives and therefore shouldn’t be counted?
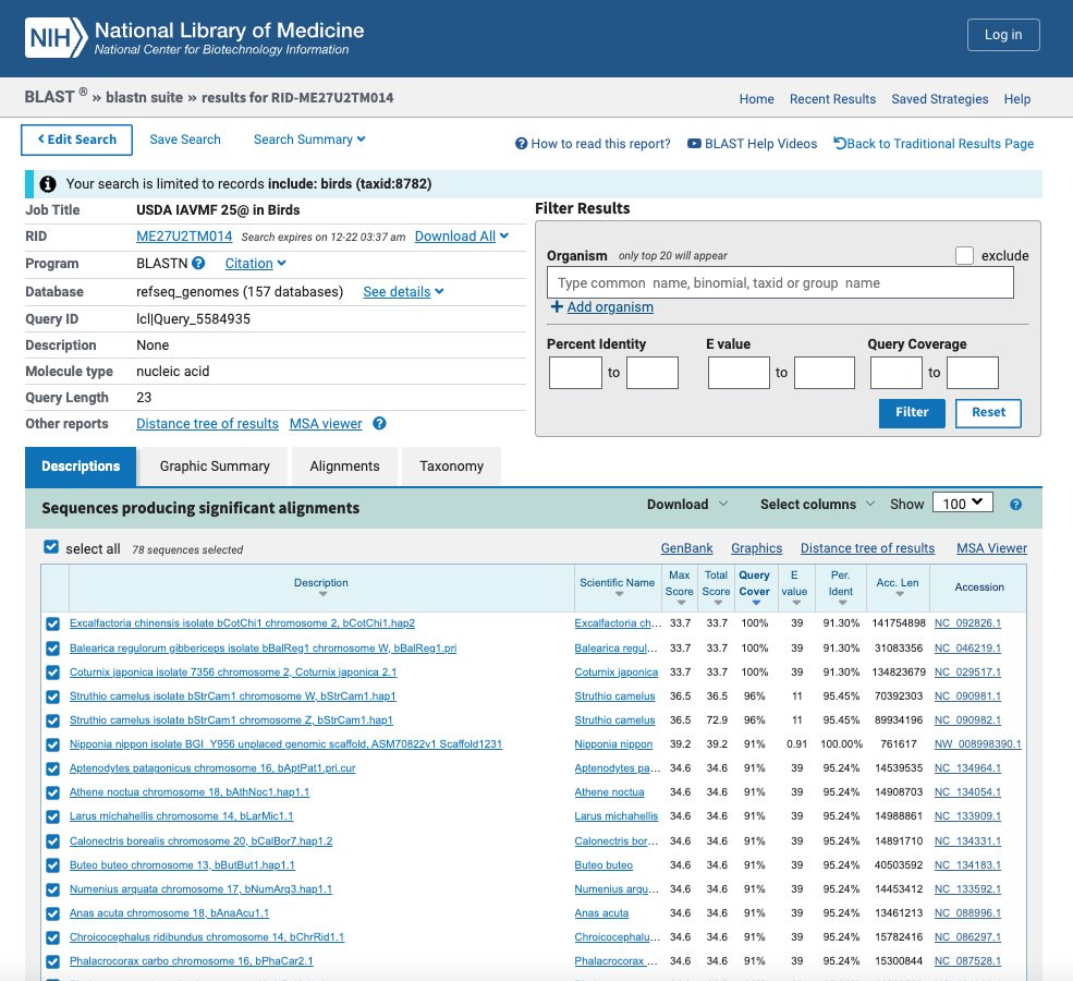
We plugged the PCR forward primer sequence into the U.S. government’s BLAST (Basic Local Alignment Search Tool) software.
Follow us on Instagram @realjonfleetwood & Twitter/X @JonMFleetwood.
If you value this reporting, consider upgrading to a paid subscription.
For advertising & sponsorship opportunities reaching 300,000+ monthly viewers, contact us by clicking below.
In birds, BLAST results show the forward primer contains a 21-base sequence (out of 23 nucleotides in total) that matches avian genomes with 100% identity, along with numerous 20–21 base matches at ~95% identity across a wide range of species, including waterfowl, poultry, raptors, and migratory birds.
These matches are long enough to function as PCR primer binding sites rather than unique viral signatures.
In cows, BLAST analysis shows the same 23-base forward primer aligns repeatedly across the Bos taurus genome, producing dozens of hits on nearly every chromosome, including chromosomes 1–29 and chromosome X.
Many of these alignments are full primer-length matches of 20–21 bases (up to 95% identity), alongside numerous perfect 14–17 base sub-matches (100% identity) on both strands—binding lengths that fall well within known PCR priming capability, especially under high-cycle conditions.
Dr. Kary Mullis, the late inventor of the PCR test, said in a 1997 interview (here) that his test should not be used to determine whether a subject is infected with a virus.
This is because the test “can find almost anything in anybody” if its parameters are set high enough, tainting the results, according to the Nobel Prize winner.
“Anyone can test positive for practically anything with a PCR test. If you run it long enough… you can find almost anything in anybody,” Dr. Mullis said. “It doesn’t tell you that you’re sick.”
Mullis’ warning now appears directly relevant to the government’s bird flu testing regime, where primer design alone raises questions about whether the assay can reliably distinguish viral infection from background animal genetics.
Our BLAST data show the government’s bird flu test relies on a forward primer that is not specific to bird flu at all—raising the possibility that the very test driving emergency declarations is capable of generating positives from ordinary animal DNA.
Follow us on Instagram @realjonfleetwood & Twitter/X @JonMFleetwood.
If you value this reporting, consider upgrading to a paid subscription.
For advertising & sponsorship opportunities reaching 300,000+ monthly viewers, contact us by clicking below.














The PCR test is being used to gaslight us all.............again!
So the Canadian ostriches were murdered needlessly!